Прусаки

Прусаки

Прусаки

Таргани, яких часто називають “прусаками” в Україні та інших слов’янських країнах, насправді є представниками виду Blattella germanica – німецького таргана. Цікаво, що незважаючи на назву, цей вид не має прямого зв’язку ні з Німеччиною, ні з Пруссією. То звідки ж взялася ця назва?

Назва “прусаки” походить від історичного регіону Пруссія, що зараз знаходиться на території сучасної Польщі та Німеччини. В середньовіччі Пруссія була заселена прусськими племенами, а від XIII століття – під владою Тевтонського ордену. З часом регіон став частиною Німецької імперії.

Однак, зв’язок між назвою комахи та регіоном є більше лінгвістичною ніж історичною плутаниною. Існує декілька теорій, чому саме цей вид таргана отримав назву “прусак”. Одна з версій полягає в тому, що таргани поширилися по Європі з військовими походами, і через те що Пруссія була відома своєю військовою міццю, люди могли асоціювати цих непроханих “завойовників” з прусськими воїнами.

Інша теорія говорить  про торговельні шляхи, через які таргани могли потрапити в різні куточки Європи, включаючи і Російську імперію, де вони отримали назву “прусаки”. Це могло статися через те, що товари часто приходили з Пруссії, а разом з ними і небажані комахи.

Але в Німеччині навпаки, вважають, що рудих тарганів до Пруссії завезли саме з Росії, німці рудих тарганів називають «русаками».

Значення назви сьогодні

Незважаючи на походження назви, термін “прусаки” залишається популярним в народній етимології і часто використовується в Україні для позначення тарганів домашніх. Це слово стало синонімом небажаних гостей в домі, які важко вивести і які можуть принести чимало неприємностей.

Прусаки відносяться до комах з неповним циклом перетворення. Це означає, що їх життєвий цикл представлений яйцем, личинкою, яка линяє 5-6 разів, і дорослою комахою (імаго). Личинки по зовнішньому вигляду дуже нагадують дорослих особин, тільки набагато дрібніші.

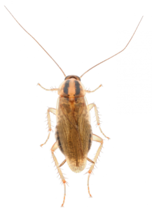
Тіло прусаків сплощене, більш-менш овальної форми. Голова рухлива, плоска, з ротовим апаратом гризучого типу. Пара довгих вусиків – характерна особливість цих комах. Прусаки мають крила, але здатність до польоту вони втратили. Як же добре, що вони не літають!

Прусаки – нічні, теплолюбні та вологолюбні комахи. Оптимальна температура для їх розвитку 22-27°С, при показниках температури -5°С комахи гинуть. Як руді, так і чорні таргани дуже вимогливі до наявності води. Тарган може голодувати більше 1,5 місяців, але без води цей термін скорочується до тижня. Всеїдні, їдять, буквально, все! Навіть такі непривабливі на наш погляд «продукти» як папір, поліетилен або стара шкіра.

Прусаки – колоніальні шкідники.

Живуть наші таргани великими колоніями, на 70-80% складаються з статевонезрілих особин (личинок). Самка відкладає до 50 яєць в спеціальну капсулу – оотеку, яку завжди носить з собою (прикріплена до заднього кінця черевця) і тільки після дозрівання яєць оотека відпадає. За своє життя самка відкладає до 10 оотек.

Личинки, що вилупилися, дрібні, до 3 мм в довжину, білого кольору. В процесі росту личинки кілька разів линяють, кожен раз скидаючи свій хітиновий панцир. Личинка, яка тільки що полиняла – білого кольору, з часом її панцир темніє. Цей факт розвіює міф про білих тарганів-мутантів! Розвиток одного покоління прусаків становить 2-4 місяці, в залежності від температури навколишнього середовища. Тривалість життя дорослих особин складає 20-30 тижнів.

Прусаки – здатність до розселення.

Таргани дуже швидко пересуваються, легко проникають в щілини, тріщини і т.д. Мають дуже високу здатність до розселення. Вчені проводили експеримент, коли випустили спеціально «мічених» прусаків на майданчику біля сміттєпроводу на 1 поверсі 9-ти поверхового житлового будинку і через 9 днів комах виявили всюди: і на 9 поверсі, і в підвальному приміщенні!

Основною причиною появи тарганів у вас в будинку є сусідня квартира або «незахищені» вентиляційні, комунікаційні канали. У рідкісних випадках – ми самі заносимо комах з різноманітними речами: посилки, приїзд з відрядження, лікарні і т.п.

Прусаки

Як уже згадувалося раніше, в нашій місцевості характерними є 2 види тарганів: рудий і чорний. Основна відмінність видів закладена в їх назві. Розрізняємо за кольором! Також слід зазначити, що чорний тарган значно крупніше рудого родича: 18-30 мм проти 10-14 мм. Часто клієнти, звертаючись до нашої компанії, стверджують, що помічали чорних тарганів, але невеликого розміру, до 1 сантиметра

Blattela germanica

Відповідаємо: це не чорні таргани, це личинки прусаків старшого віку, вони мають темне забарвлення. Деякі ентомологи зараховують до характерних особливостей чорного таргана його небажання «селитися» вище 5 поверху. Але ми не можемо погодитись з таким твердженням, адже в своїй професійній діяльності стикалися з чорними тарганами, і на 8, і на 9 поверсі. Максимальний поверх, на якому ми зустрічали чорних тарганів був 12!

Як ви думаєте, хто основний ворог чорного таргана? Прусаки!!! Вони поїдають оотеки чорних тарганів, не дозволяючи своїм чорним родичам збільшувати популяцію. До «плюсів» чорних тарганів віднесемо і те, що їх ніколи не буває багато, завдяки чому з ними простіше вести боротьбу.

Прусаки та проблема міграції.

 Інші види тарганів на територію України можуть потрапити лише випадково. Згадується 2021 рік, коли активні військові дії Талібану спричинили великий потік біженців з Афганістану. Дехто приїхав і в Україну. Мешкали вони, в основному, в готелях або орендованих квартирах. Разом з речами біженці привезли і звичних для себе американських тарганів (Рeriplaneta americana). Персонал та адміністратори готелів були в повному шоці, коли побачили величезних тарганів (довжина американського таргана може сягати 4 сантиметрів), які ще й здатні до коротких перельотів!

Наш корпоративний Viber майорів фотографіями американських тарганів в різних ракурсах та повідомленнями: «Що нам робити?! У нас істерика!». Ми, як тільки могли, заспокоювали клієнтів, а потім: приїхали – провели дезінсекційні заходи – ліквідували проблему! Ми не стверджуємо, що кожен біженець з Афганістану привіз із собою американських тарганів, але такі непоодинокі випадки траплялись.

Крім того, що прусаки викликають відразу та дискомфорт, вони також можуть переносити патогени, які можуть викликати хвороби, а саме харчові отруєння, діарея та алергії. Вони також можуть пошкоджувати продукти, упаковку та електроніку, пережовуючи матеріали для своїх гнізд.

Прусаки – це механічні переносники інфекційних і паразитарних захворювань! Збудники дизентерії, черевного тифу, холери, туберкульозу, ентеробіозу і багатьох інших інфекцій комахи з легкістю переносять на своїх лапках (або з екскрементами) з одного місця в інше, рясно забруднюючи патогенними мікроорганізмами свій життєвий простір і наші з вами продукти! Відомі випадки заповзання прусаків у вушний прохід, тоді без кваліфікованої медичної допомоги вже не обійтися.

Санітарія

Щоб позбутися тарганів, потрібно почати з себе!
Найважливіший крок у запобіганні появи прусаків – це підтримання чистоти. Не залишайте їжу на кухонних столах, регулярно викидайте сміття та тримайте поверхні сухими.
Ніяких залишених крихт, розсипаного цукру чи борошна!
Чистота – запорука здоров’я! Таке твердження підходить і для прусаків, точніше їх відсутності! Дуже важливо систематично проводити вологе прибирання. Річ у тому, що екскременти прусаків містять атрактант, який приваблює собі подібних. Прусак ніби «говорить» іншим: «Всі сюди! Тут нам буде добре!».

Також регулярне проведення вологого прибирання ліквідує проблему запаху. Коли в квартирі велика чисельність прусаків, приміщення набуває специфічного запаху. Можливо на появу цього неприємного запаху може впливати і той факт, що прусаки кожні 15 хвилин випускають гази. А коли комах багато, сумарний об’єм продуктів метаболізму збільшується. Але все ж таки основною причиною появи специфічного запаху являються екскременти прусаків. Думаємо, дехто з вас стикався з цим запахом, наприклад, при купівлі квартири на вторинному ринку або орендував житло.

Як же зрозуміти, яка чисельність прусаків? Коли тарганів помічаємо і в день, а не лише вночі, або прусаки з’явились і в житлових кімнатах – чисельність висока. Це вже велика проблема , і її треба якнайшвидше вирішувати.

Усунення доступу до води

Оскільки прусаки потребують води, усунення будь-яких джерел вологи є ключовим. Перевірте на витік під раковинами, ванними та побутовою технікою.

Ніякого крапання крану на кухні! Обмежуємо, у міру можливості, комах в наших продуктах харчування і у воді! Звертаємо вашу увагу, що прусаки дуже полюбляють сухий корм для тварин! Не залишайте без потреби дані «смаколики» у тарілочках улюблених домашніх тварин.

Герметизація

 Закупорте всі тріщини та отвори в будинку, щоб запобігти входу та гніздуванню прусаків.

Використання інсектицидів:

 Якщо проблема вже існує, можуть знадобитися інсектициди. На даному етапі ви опиняєтесь перед вибором: самостійно провести обробку або звернулись до спеціалізованих служб. Перший варіант, на наш погляд, доцільно вибирати при невисокій чисельності тарганів.

Якщо ви вирішили самостійно здійснити дезінсекцію, рекомендуємо використовувати засоби у вигляді гелю, харчових принад. Ви можете самі приготувати принаду на основі борної кислоти, ось декілька рецептів або придбати інсектицидний гель. З повною відповідальністю радимо використовувати гель «Адвіон». Даний препарат ми також застосовуємо у своїй професійній діяльності і стверджуємо, що у даній ніші інсектицидів це найефективніший засіб для боротьби з тарганами, представлений на ринку України, то того, ще й найбезпечніший.

Прусаки – це не лише неприємність, але й потенційна загроза здоров’ю. Підтримання чистоти та санітарії в домі є найкращим способом запобігти їхньому розмноженню. Якщо ви стикаєтеся з серйозною інфестацією, не вагайтеся звернутися за допомогою до професіоналів.

Наразі є широкий вибір компаній, які проводять дезінсекцію. Ви можете звернутись за допомогою до нас – компанії «Дезснаб», адже ми маємо величезний досвід у сфері проведення дезінсекції, дератизації, дезінфекції (працюємо з 1998 року), штат підприємства складається з кваліфікованих фахівців, біологів, ентомологів, застосовуємо різні методи дезінсекції та професійне обладнання, використовуємо лише препарати, які мають реєстрацію в Міністерстві охорони здоров’я України та дозволені для використання у середовищі життєдіяльності людини. Вибір залишається за вами!

Позитивно вплине на ефективність боротьби з прусаками проведення одномиттєвої дезінсекційної обробки вашими сусідами (суміжними квартирами). Ми знаємо, що вкрай важко умовити сусідів на таку обробку (за нашою статистикою це вдається близько 5% наших клієнтів), але спробувати потрібно.

Shopping Cart
Scroll to Top